网站首页  词典首页


请输入您要查询的字词:

 

字词 主要盐湖分述
类别 中英文字词句释义及详细解析
释义

主要盐湖分述


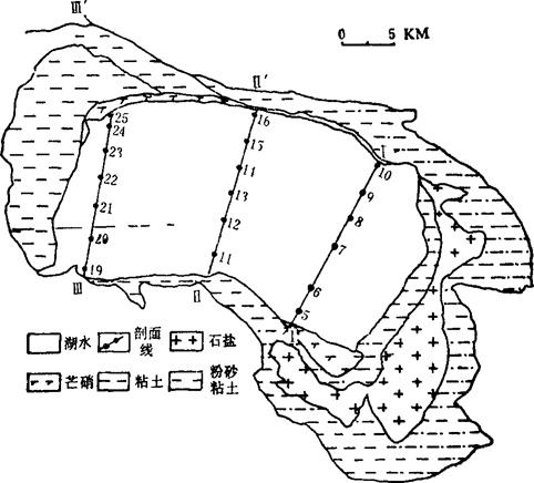
小别勒湖、涩聂湖、南涩聂湖(图4-1-8、4-1-9)。该湖沉积盐层厚度15~30m,最厚达70m,一般分四层(表4-1-11)。晶间卤水是该湖主要盐湖矿床资源,其中含有50多种化学元素,K、Mg、B、Li的含量很高(表4-1-12),是我国罕见的K-Mg盐湖卤水矿床。

图4-1-9 察尔汗盐湖地质纵剖面示意图

表4-1-12 察尔汗盐湖晶间卤水成分(mg/L)

注:分析单位为中国科学院盐湖研究所。

察尔汗盐湖固体钾镁盐和石盐矿床中,主要矿物有石盐、光卤石、钾石盐、水氯镁石等,其中:

石盐矿石NaCl,储量为505.17亿吨。

钾镁盐KCl储量11313.7万吨。MgCl2储量19681.1万吨。卤水储量见表4-1-13。

表4-1-13 察尔汗盐湖卤水储量

此外,该湖还有南极石沉积矿层,已经达到工业开采要求。

(七)昆特依盐湖

1.地理位置 位于青海省冷湖西南,地理座标:东经92°45′~93°25′,北纬38°24′~39°20′。茶卡-茫崖公路从矿区通过,由冷湖有公路经敦煌到兰(州)新(疆)铁路柳园车站。

2.盐湖类型 无湖表卤水。晶间卤水属于硫酸盐型硫酸镁亚型盐湖。

3.盐湖资源 为固液并存的含钾镁盐的石盐盐湖矿床(图4-1-10)。石盐分布面积1679.43km2,含盐厚度达300m。50m以上可分两个石盐层,一个是上更新统石盐层:北部单层厚2~4m,一般累积厚度10~12m,最厚25.45m;南部单层厚3~5m,累积厚度20~26m,局部达36.36m。矿石NaCl含量80~85%,高者达95%。另一个是全新统石盐层,只一层,长30km,宽0.05~3km,直接出露地表,矿层厚3~5m,最厚达14m,靠南部夹芒硝层。石盐NaCl含量80~85%,最高达99%。估算石盐储量190亿吨。

图4-1-10 昆特依盐湖平面图

1-盆地界限 2-第三系背斜构造带 3-更新统砂、砾、泥岩 4-风积砂 5-湖积粘土、砂砾 6-洪积砂砾 7-石盐 8-湖水界限

另外,该湖还有一定规模的芒硝资源。

卤水资源是该湖重要的钾镁液体矿资源,卤水成分见表4-1-14。按赋存形态,分为潜水型晶间卤水和承压型晶间卤水。潜水型晶间卤水分布在石盐层中,含水层厚3~9m,最厚14.47m,埋深0.5~2.5m;承压型晶间卤水,分布于老盐层和芒硝层中,分布面积1667.4km2。含水层南部厚4~5m,埋深2~4m;北部厚0.5~2m,埋深15~23m。晶间卤水主要组分见表4-1-15。

表4-1-14 昆特依盐湖晶间卤水成分(mg/L)

注:分析单位为中国科学院盐湖研究所。

表4-1-15 昆特依盐湖晶间卤水有益组分(据青海地质-队)

(八)七角井盐湖

1.地理位置 位于新疆维吾尔自治区哈密市七角井镇,地理座标:东经91°26′43″~91°33′45″,北纬43°26′15″~43°28′45″。哈密-乌鲁木齐公路从湖区南部通过;湖区离兰新铁路十三间房车站39km。

2.盐湖类型 无湖表卤水。晶间卤水按M.T.瓦里亚什科分类方法,属于硫酸盐型硫酸镁亚型盐湖。

3.盐湖资源 湖盆呈东西向延伸,长20km,宽6km,面积120km2。盐湖矿床位于湖盆西部,面积40km2。分固体矿和晶间卤水两种类型资源(图4-1-11)。

图4-1-11 七角井东盐湖地质略图

固体矿,包括石盐、芒硝、无水芒硝。该湖盐类沉积分为上下两层,下层主要是芒硝,最大厚度10.84m;上层为石盐、芒硝,厚8.79m(表4-1-16)。

表4-1-16 石盐、芒硝矿基本情况

储量计算结果:石盐NaCl储量为1629.09万吨,无水芒硝矿石储量210.7万吨。浅部和深部芒硝矿石储量Na2SO4储量1609万吨。

晶间卤水,分上下两层。表层晶间卤水赋存于石盐、芒硝层中,其含水层厚度分别为0.34m和0.32m,合计0.66m;晶间卤水成分见表4-1-17,内含NaCl 256.04g/L,Na2SO4 99.50g/L。下部晶间卤水赋存于芒硝层中,厚度为0.87~1.65m,NaCl含量146.30g/L,Na2SO4 60.19g/L。

表4-1-17 七角井盐湖晶间卤水成分(mg/L)

注:分析单位为中国科学院盐湖研究所。

储量计算结果:表层晶间卤水NaCl 217万吨,Na2SO4 55.12万吨;下部晶间卤水NaCl 66.8万吨,Na2SO4 27.5万吨。

(九)达板城东盐湖

1.地理位置 位于新疆维吾尔自治区乌鲁木齐县达板城附近。地理座标:东经88°03′53″~88°12′15″,北纬43°21′00″~43°25′25″。兰新铁路及公路均从湖区北侧经过,北西70km到乌鲁木齐市。

2.盐湖类型 盐湖卤水属于硫酸盐型硫酸钠亚型盐湖

3.盐湖资源 为固液相并存的盐湖,面积35.14km2,盐类沉积面积16.6km2(图4-1-12),盐层(石盐、芒硝)厚度1~2m,最大16m。各盐层基本情况见表4-1-18。

图4-1-12 达板城东盐湖地质略图

表4-1-18 石盐、无水芒硝等盐层情况

储量计算结果:石盐NaCl储量为1048.43万吨。无水芒硝Na2SO4储量4620.76万吨。

液体矿,包括湖表卤水和晶间卤水。湖表卤水受雨季影响。丰水期,湖水环绕盐类沉积区分布,其最大面积17.7km2,最大水深1.67m,平均0.46m;枯水期,湖水在湖区北侧呈条带状分布,面积3.88km2,最大水深1.2m,平均0.195m。湖表卤水成分,NaCl 253.67g/L,Na2SO4 22.82g/L,MgSO4 26.23g/L,B2O3 0.17~0.22g/L。晶间卤水分布于石盐、芒硝层中,其成分:NaCl 271.66g/L,Na2SO4 36.31g/L,MgSO4 17.38g/L,含B2O3 0.156g/L(表4-1-19)。

表4-1-19 达板城东湖卤水成分(mg/L)

注:分析单位为中国科学院盐湖研究所

储量计算结果:枯水期NaCl储量19.6万吨,晶间卤水NaCl储量239.70万吨,有B2O3 801.05吨。

(十)艾丁湖

1.地理位置 位于新疆维吾尔自治区吐鲁番市南38km处,地理座标:东经89°10′~89°55′,北纬42°32′~42°49′。由湖区有公路54km,到达兰新铁路七泉湖车站。

2.盐湖类型 西部河口附近有少量湖表卤水,大面积是晶间卤水。卤水类型属于硫酸盐型硫酸镁亚型盐湖。

3.盐湖资源 盐湖低于海平面155m,是我国海拔高程最低的盐湖,面积245km2。固体盐类沉积有石盐、芒硝、无水芒硝,均形成于全新世。

石盐层沿湖北岸呈东西带状分布,长8km,宽0.1~1.1km,厚0.54~0.82m。石盐层之上为盐壳,厚0.42~0.72m,最厚1.42m。石盐中含NaCl 10.45~88.94%、Na2SO4 4.46~11.78%、MgSO4 0.80~1.78%、CaSO4 1.40~3.71%、水不溶物6.24~20.11%。估算石盐矿石储量为71亿吨。

芒硝矿层分布于湖区北岸,湖区中部平均厚1.64m,东、西两侧平均厚2.50~3.67m。芒硝中含Na2SO4 0.30~0.90%、NaCl 1.23~4.68%、MgSO4 0.30~0.90%、CaSO4 7.57~15.31%、水不溶物10.43~36.36%;无水芒硝中,含Na2SO4 51.12~90.23%、NaCl 2.54~6.62%、MgSO4 0.41~0.58%、CaSO4 1.80~10.54%、水不溶物6.11~35.08%。芒硝圈定面积33km2(图4-1-13),NaSO4储量1141万吨。

图4-1-13 艾丁湖地质示意图

晶间卤水和湖表卤水成分见表4-1-20、21。

表4-1-20 艾丁湖湖表卤水成分(mg/L)

注:分析单位为中国科学院盐湖研究所。

表4-1-21 艾丁湖晶间卤水成分(mg/L)

注:分析单位为中国科学院盐湖研究所。

(十-)艾比湖

1.地理位置 位于新疆维吾尔自治区精河县城北15km处;地理座标:东经82°35′~83°10′,北纬44°45′~45°08′。乌鲁木齐-伊宁公路从湖区南侧经过;新建的北疆铁路在湖区侧通过。

2.盐湖类型 属于硫酸盐型硫酸钠亚型盐湖。

3.盐湖资源 盐湖面积1443.75km2,湖水面积562.5km2,以湖表卤水为主,是目前我国卤水面积最大的卤水湖(图4-1-14)。卤水一般深度0.5~1.2m,最大水深2.9m,湖水成分见表4-1-22。

图4-1-14 艾比湖平面图

表4-1-22 艾比湖卤水成分(mg/L)

注:分析单位为中国科学院盐湖研究所。

艾比湖外围浅滩残余卤水丰富,经蒸发浓缩形成分布广泛的石盐层,一般厚度0.5~1m,多分布于东南部沙泉子等地。

(十二)扎仓茶卡

1.地理位置 位于西藏自治区革吉县盐湖区,地理座标:东经82°15′~82°31′,北纬32°33′~32°35′。黑(河)阿(里)公路从湖边经过。

2.盐湖类型 为固液并存的盐湖,湖水类型属于硫酸盐型硫酸钠亚型盐湖。

3.盐湖资源 由三个湖组成,总面积128.25km2,(图4-1-15)。该湖盐类资源分固体石盐、芒硝、硼酸盐和菱镁矿及液体卤水等。

图4-1-15 扎仓茶卡盐湖岩相图

1-湖水 2-石盐沉积 3-芒硝沉积 4-盐泥沉积 5-柱硼镁石沉积 6-库水硼镁石-柱硼镁石沉积 7-柱硼镁石-粘土沉积 8-淤尼 9-含砂粘土沉积 10-碳酸盐泉华 11-河流、泉 12-阶地 13-钻孔剖面 14-公路

石盐矿主要分布于Ⅱ湖和Ⅲ湖,以Ⅲ湖为主。Ⅱ湖分布面积7.23km2,盐层厚0.04m;Ⅲ湖石盐分布面积10km2,盐层厚0.2~0.4m,是该湖主要产盐区,石盐质量较纯,NaCl含量可达98%以上。估算石盐储量约500多万吨。

芒硝矿是该湖最广泛的盐类沉积。以Ⅱ湖为主,Ⅰ湖和Ⅲ湖因芒硝层薄和含有泥质而居次要地位。Ⅱ湖芒硝层直接出露湖表,分布面积17.25km2,芒硝呈层状,平均厚度4m,最大厚度6m以上,Na2SO4含量达99%。估算芒硝储量5000多万吨。

硼酸盐矿,以库水硼镁石、多水硼镁石为主,柱硼镁石、钠硼解石次之。硼矿共分5个区段,其中以第二硼矿区为主。硼矿分布面积近3km2,一般厚度1m,最大厚度2.1m。

菱镁矿,主要分布Ⅰ一Ⅱ湖湖堤下部,呈层状,一般厚0.3~0.5m;湖区南岸水菱镁矿,呈条带状分布约40km,为规模壮观的泉华带。

盐湖卤水,包括湖表卤水和晶间卤水。湖表卤水,Ⅰ湖分布面积6.25km2,水深0.05~0.15m;Ⅱ湖分布面积36.25km2,水深1.20m以上;Ⅲ湖分布面积9km2,水深0.05~0.15m。据估算有湖表卤水3000多万立方米,卤水含锂高达2120mg/L,含硼(以B2O3形式表示)1869mg/L(表4-1-23)。

表4-1-23 扎仓茶卡(Ⅱ湖)卤水成分(mg/L)

注:分析单位为中国科学院盐湖研究所。

据估算,该湖储有石盐800多万吨,芒硝近8000万吨,钾盐数十万吨,镁盐数千万吨,硼盐数百万吨,锂盐数十万吨,是个很有综合利用前景的盐湖矿床。

(十三)扎布耶茶卡

1.地理位置 位于西藏自治区仲巴县隆嘎尔区;地理座标:东经84°00′,北纬31°35′。由隆嘎尔区至湖区有便道通行。

2.盐湖类型 按M.T.瓦里亚什科分类方法,属于碳酸盐型盐湖。

3.盐湖资源 为固液并存的硼酸盐、石盐、芒硝盐湖矿床,面积250km2(图4-1-16)。据西藏地质局第一地质队钻孔揭露,石盐出露于湖表,盐质很纯,可直接开采利用;层厚1.03m,估算NaCl地质储量4000万吨;芒硝层位于石盐层之下,层厚3.40m,储量约数千万吨;湖底硼砂层分别为1.53m和0.51m,硼砂储量近500万吨。

图4-1-16 扎布耶茶卡盐类沉积分布图

盐湖卤水主要分布于北湖,其成分见表4-1-24。湖表卤水矿化度395.41g/L,含NaCl 272.22g/L,含B2O3 5.849g/L。估算NaCl储量202.34万吨,Na2SO4储量352.47万吨。

表4-1-24 扎布耶茶卡卤水成分(mg/L)

注:分析单位为中国地质科学院矿床地质研究所。

(十四)运城盐湖

1.地理位置 位于山西省运城市,地理座标:东经110°52′30″~111°03′45″,北纬34°56′15″~35°02′30″。同蒲铁路和晋南公路均从湖边经过。

2.盐湖类型 为固液并存的盐湖,湖表卤水类型按M.T.瓦里亚什科分类方法,属于硫酸盐型硫酸镁亚型盐湖。

3.盐湖资源 盐湖盆地面积130km2,湖区面积90km2,湖水面积30km2(图4-1-17)。

图4-1-17 运城盐湖地质略图

运城盐湖储有各种盐类8374.2万吨,其中Na2SO4 5915万吨,MgSO4 987.2万吨,NaCl 1472万吨。

湖表卤水,相对密度1.096,含MgSO4 2.29%,Na2SO4 1.5~10%,NaCl 0.6~3%。储有NaCl 24.50万吨,Na2SO4 52.10万吨,MgSO4 21.80万吨。

随便看

 

离鸟网收录3541549条中英文词条,其功能与新华字典、现代汉语词典、牛津高阶英汉词典等各类中英文词典类似,基本涵盖了全部常用中英文字词句的读音、释义及用法,是语言学习和写作的有利工具。

 

Copyright © 2004-2024 vtrois.com All Rights Reserved
更新时间:2026/4/9 4:02:54