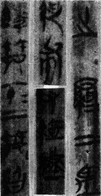
中山王方壶铭
【简介】: 战国中期中山国器铭(公元前316年前后)。刻款。搨本。大篆。十行,行十一字,共一百二十二字。文物出版社《商周靑铜器铭文选》(二)收入。 【赏析】:   中山国居河北,与赵国爲邻,战国早期曾有一段复国中兴的光辉历史。其后,中山国又参与了对燕的战争,大获全胜,掳燕国吉金,归铸彝壶,勒铭记功,这就是《中山王 方壶》铭文所记内容。 这件刻款作品製作之精爲战国时代的铭文之冠,其工丽秀美无以复加。它的方折合以线条的拗曲,使得稜角尤其分明;而意气形势由此不断地运行转换,具有鲜明的层次和节奏。它那环曲的线条款婉温柔,起伏迤逦,有著虫书的体态和性格。最能引人入胜的是作品中一贯直下的垂线、配合著协调摇曳的线条媚姿,构成了“英雄气短”、“巾帼鬚眉”、阳刚阴柔的奇妙交滙。 战胜庆功,告诫子孙,应该是十分热烈和严肃的;铸器刻字,则又庄重恭谨。玩味作品,它似乎有著中山复国之后的兴盛,有著胜利之后的喜悦,有著从容的奇谋巧构,有著精绝的笔力刀工。创作的客观条件和心理状态、艺术水平都是最好的,所以才能有如此不朽的作品传世。《中山王 方壶》铭是战国时期靑铜器文字最多的,铭文排列整齐,气韵通达,修长的结体显得优美纤丽,加上极爲成熟的镌刻技巧使人观后似有字字玑珠之感。细细味之,直、折、圆笔并存在笔笔中锋之内,但因此器文字是在成器之后所刻凿,故又显得是笔笔露锋了。其铭文用笔特色明朗,在先秦文字中别树一帜,具有强烈的个性特徵。 |